family CERAMBYCIDAE Latreille, 1802
subfamily LEPTURINAE Latereille, 1802
tribe Lepturini Latreille, 1802
genus Judolia Mulsant, 1863
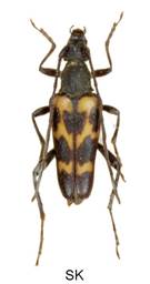
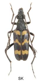
Judolia sexmaculata (Linnaeus, 1758)








Velikost 8-14 mm.
Bionomie. Podle Čerepanova (1979) samičky kladou vajíčka na silné kořeny a přízemní části uschlých stromů. Larvy vyžírají chodbičky zprvu pod kůrou a pak vstupují do dřeva, kde také přezimují. Kuklí se ve dřevě nízko nad zemí. Vývoj dvouletý. Podle skandinávských autorů vývoj v odumírajících kořenech v běli v podzemní části. Kuklí se v povrchové vrstvě dřeva nebo pod kůrou. Přezimuje v larválním stadiu. - Imága se vyskytují v VI.-VIII., maximum od konce VI. do poloviny VII., na různých květech, např. Apiaceae a Aruncus.
Živné rostliny - Podle údajů v Picea, Pinus, Larix, Abies, Populus a Tilia; uvádí se též Alnus.
Variabilita. Velmi variabilní druh. Příčné černé pásky mohou být přerušovány, nebo naopak se černá barva rozšiřuje a žluté pásky téměř mizí.